今天是:2026-4-22 星期三  加入收藏 | 设为首页 | 二维码
 
通知公告
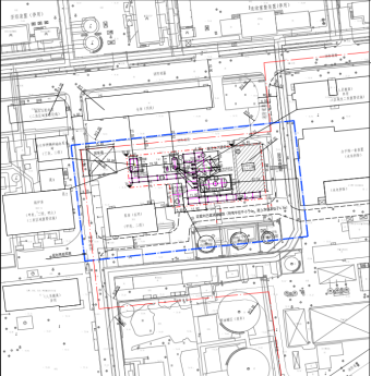
《抚顺石化公司重整及加氢装置炼油结构优化项目-5吨/小时酸性水汽提单元(石油三厂)》规划公示
浏览:969次'时间:2026年4月3日

项目名称:《抚顺石化公司重整及加氢装置炼油结构优化项目-5吨/小时酸性水汽提单元(石油三厂)》

工程概况:本项目位于抚顺石化公司石油三厂厂区内,用地性质为三类工业用地,规划构筑物面积为835.2平方米,容积率计算面积为885.9平方米。

现予以公示并征求意见。

公示日期:2026年4月3日-2026年4月14日(7个工作日)

建设单位:中国石油天然气股份有限公司抚顺石化分公司

设计单位:中石油华东设计院有限公司

联系电话:024-58067761

利害关系人可在公示有效期内通过以下途径咨询或提出意见,反馈意见方式:

1.发送电子邮件:whqzjj069@163.com

2.邮寄件书面意见地址:抚顺市望花区城乡建设综合服务中心101室

3.反馈意见请注明联系人真实姓名、电话、地址等信息,如因信息不完整或不真实导致无法核对相关情况的,视为无效意见。

image.png


image.png


image.png


政府信息公开
信息公开指南
 
信息公开年报
美丽望花
+
   
主办单位:抚顺市望花区政府 联系方式:024-56888071 Copyright All right reserved. 网站标识码:2104040001 ICP备案:辽ICP备13005445号-1  辽公网安备21040402000001号 网站地图